Nature photography by Dragisa Savic Nature photography by Dragisa Savic

Nature Photography by Dragiša Savić

  FLORA

      Bryophyta

      Pteridophyta

      Gymnospermae

      Dicotiledones

      Monocotiledones

  GALS & MINERS

  FAUNA

     Mollusca

     Plathyhelminthes

     Bryozoa

     Annelida

     Nematomorpha

     Crustacea

     Myriapoda

     Arachnida

     Entognatha

     Insecta

     Amphibia

     Reptilia

     Aves

     Mammalia

  CHROMISTA

     Oomycota

  PROTOZOA

     Amoebozoa

  FUNGI

     Entomophthoromycota

     Mucoromycota

     Ascomycota

     Basidiomycota

  LANDSCAPES

  CONTACT

  NEW

 

   
 

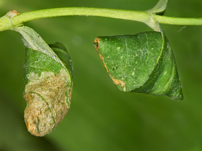
Euspilapteryx auroguttella Stephens, 1835  (on Hypericum perforatum)

« previous thunbnails next »

 
 

 
 

Fruška gora (Iriški venac), 2015.

 
 

 
 

Fruška gora (Iriški venac), 2015.

 
 

 
 

Fruška gora (Iriški venac), 2015.

 
     
         
  Copyright © Dragiša Savić. All rights reserved.